市住建局、国土资源局、公安局、工商和质监局、房产服务中心: 为进一步加强土地利用和城乡规划建设管理,着力构建“一城一廊一带”发展新格局,推进我市经济社会协调可持续发展。市人民政府于2018年8月6日发出了《环球国际-环球国际官网
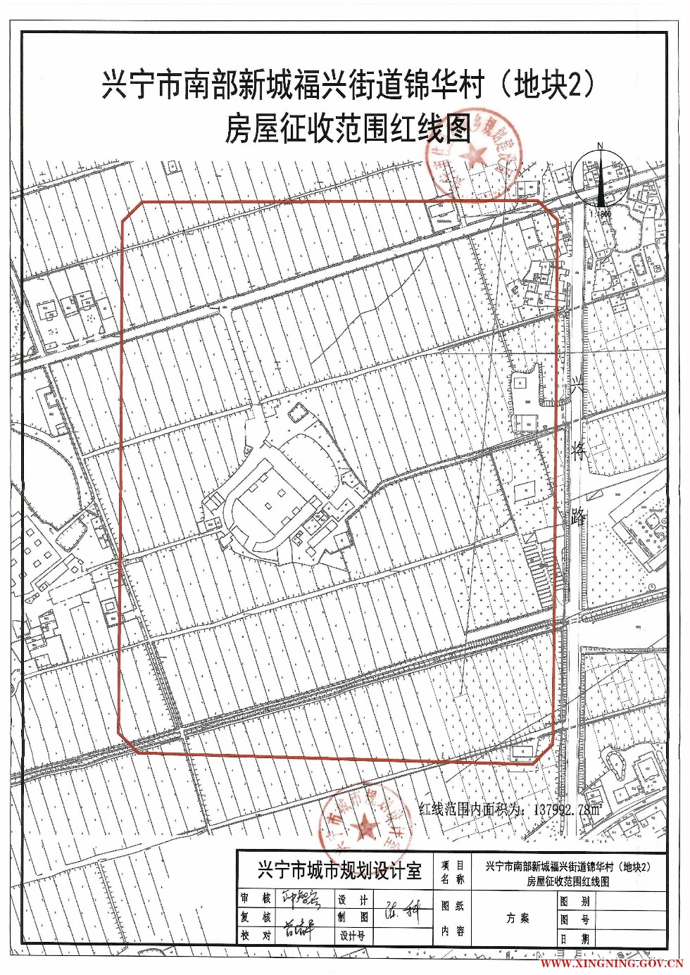
房屋征收告知书》(兴市府〔2018〕24号),拟对福兴街道锦华村(地块2)范围内的房屋实施征收,具体范围以房屋征收范围红线图(详见附件)为准。依据《国有土地上房屋征收与补偿条例》第十六条的规定,为确保房屋征收工作顺利进行,经市人民政府研究,决定对房屋征收范围内的下列事项或建设行为暂停办理相关手续,暂停期限为一年。请各单位遵照执行。 一、审批新建、扩建、改建房屋; 二、办理户口的迁入和分户,但因婚姻、出生、回国、军人退伍转业、经批准由外省(市)投靠直系亲属、刑满释放必须办理户口迁入和分户除外; 三、以被征收房屋为注册地址办理工商注册登记手续; 四、改变房屋、土地用途; 五、房屋的转让、租赁和抵押; 六、已依法取得建房批准文件但尚未建造完毕的房屋的续建; 七、本通知自2018年8月6日起执行。 附件:环球国际官网
福兴街道锦华村(地块2)房屋征收范围红线图 环球国际-环球国际官网
2018年8月6日 附件 


